开云(中国)kaiyun网页版登录入口为全力保险东说念主民公共生命财产安全-开云(中国)kaiyun网页版 登录入口
新闻动态
发布日期:2025-10-30 10:31 点击次数:184

超强台风“桦加沙”来势凶猛
市防汛防旱防风招引部决定
自9月22日15时起
在全市领域内分批实行“五停”措施
(即:停课、停工、停产、停运、歇业)
对于在全市领域内
实行“五停”措施的晓示
各镇(街说念、园区)党委(党工委)、东说念主民政府(行状处、管委会),市直各单元,中央和省驻莞单元,全市宽敞干部公共:
字据气候部门预测,本年第18号台风“桦加沙”将于24日以强台风级或超强台风级在我市南侧近距离掠过,给我市带来严重风雨潮影响,回绝样式极其严峻。为全力保险东说念主民公共生命财产安全,最猛经由减少灾害亏蚀,字据《东莞市防汛防旱防风防冻济急预案》《东莞市“五停”责任指引》,经会商研判,市三防招引部决定自9月22日15时起在全市领域内分批实行“五停”措施(即:停课、停工、停产、停运、歇业)。现将关系要点事项奉告如下:
一、除承担抢险救灾和保险社会基本运行任务的单元和个东说念主外,全市其他单元和个东说念主践诺“五停”措施。实行“五停”措施时期,宽敞市民请勿自高出门,如身处危境区域的,请拨打110、119、120、12345等紧要转圜电话求救。
二、自9月22日18时起至25日18时,全市总共中小学、幼儿园、中等行状学校(含技工学校)和托育机构、校外培训(托管机构)、体育学校、高级院校及各种户外培训机构停课(其中,各投寄制中小学应于9月23日12时前落实作念勤学生疏批离校安排)。学校、户外培训机构严格盲从歇业纪律,不得私行开展任何素养、培训活动,同期领导师生及家长作念好安全驻扎。
三、自9月22日15时起至25日6时,海上渔船、水上施工东说念主员住手功课,回港避风;全市高处功课东说念主员过头他户外责任主说念主员住手户外功课。自23日12时起至25日6时,全市总共在建工地施工东说念主员住手施工;室内责任主说念主员原则上全面停工。
四、自9月23日12时起至25日6时,各种工业园区、分娩基地、工场、作坊等全面住手分娩。
五、自9月23日14时起至25日6时,总共说念路车辆(抢险和招引车辆之外)住手行驶,正在行驶中的车辆就近寻找安全位置后停驶,并作念好紧要避险;阻塞高速公路;轨说念交通、水路交通一说念停运。
六、自9月23日14时起至25日6时,各种市场(含农贸市场)、市场、生意走路街、超市、餐饮局面、文娱局面、往返局面、公园、旅游景区、会展等全面住手营业。
七、自9月23日14时起至25日6时,全市领域内暂停外卖配送和快递收派服务;各外卖平台、快递公司严格落实歇业条目,保险从业东说念主员安全。
现时,我市防台风防汛样式畸形严峻,请全市宽敞干部公共矍铄按照省委省政府和市委市政府的责任部署,经久坚握东说念主民至上、生命至上,勾通合作,众志成城,共同迎战台风暴雨灾害,全力夺取防风防汛责任的全面顺利!
东莞市防汛防旱防风招引部
2025年9月22日
广东省内总共高铁、
普速列车停运
为保险列车运行安全,国铁广州局字据台风动态及影响领域,对管内列车运行策画进行改变,具体安排如下:
9月23日12时起,广东省内高铁及普速列车运转迟缓停运,停运领域随台风影响动态改变;
9月24日全天,广东省内总共高铁、普速列车停运;
9月25日凌晨起,将字据台风影响减轻情况,迟缓收复列车开行,具体收复车次将动态更新。
铁路部门领导:游客可通过12306网站(App)查询最新列车开行信息,合理安排出行策画。游客在收到列车停运短信或在查询到列车停运信息后,可自车票发站搭车日历起30日内(含当日),在12306网站(App)或火车站东说念主工窗口办理全额退票手续,因列车停运导致的退票均不收取退票费。
台风最新动态
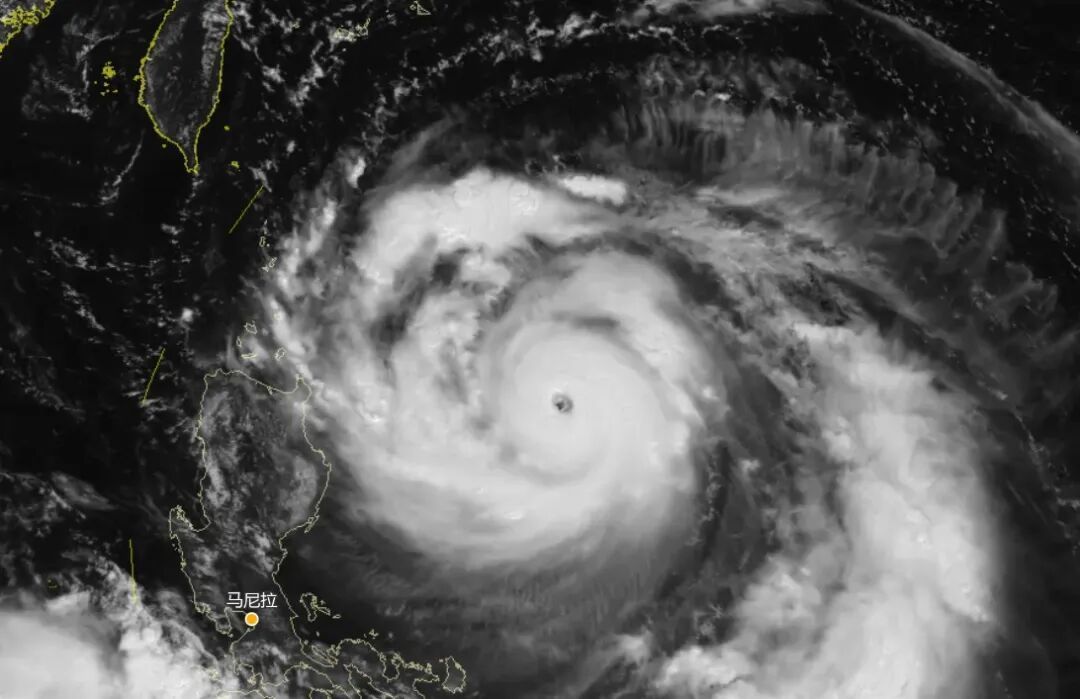
据中央气候台,本年第18号台风“桦加沙”(超强台风级)的中心今天(22日)下昼17时距离广东省阳江市东偏南边向约990公里,便是北纬19.5度、东经121.2度,中心隔邻最大风力有17级以上(62米/秒),中心最低气压为915百帕。
预测,“桦加沙”将以每小时20公里支配的速率向西偏朔标的转移,强度变化不大,穿过巴士海峡后,将于23日凌晨干涉南海东北部海面,而后向西偏朔标的转移,并渐渐向广东中西部至海南岛东北部一带沿海筹办,强度稍有减轻。
据气候、水文、海洋部门监测预告,本年第18号台风“桦加沙”已加强为超强台风级,并渐渐趋向广东省沿海,48小时内将给广东省带来严重的风雨波浪影响。字据《广东省防汛防旱防风防冻济急预案》和广东省防总关系纪律,广东省防总决定于9月22日10时将防风Ⅳ级济急反应擢升为防风Ⅱ级济急反应。
巨匠分析:
“桦加沙”可能成为
本年影响我国最严重台风
中国气候局气候分析师李宁暗示,“桦加沙”环流个头大,强度极强,很有可能将会成为本年以来影响我国最严重的一个台风。最强的降雨时段出目下24日,广东南部会大批出现大暴雨天气。
另外,在最有可能登陆的广东中西部沿海一带,强风强雨交流上天文大潮的影响,珠江口隔邻有可能会出现海水倒灌的情况。预测“桦加沙”的影响将会在26日基本为止。
东莞消防领导您
台风“桦加沙”来势汹汹
请人人提前作念好回绝准备
目下
我市台风蓝色预警已收效
收到台风预警
该怎么作念?
着手丨济急处理部、中央气候台、广东发布、东莞发布
出品丨东莞市消防转圜支队全媒体责任中心
转载请注明出处 开云(中国)kaiyun网页版登录入口
Powered by 开云(中国)kaiyun网页版 登录入口 @2013-2022 RSS地图 HTML地图